
zur Zeit nicht lieferbar
Geben Sie hier Ihre eMail-Adresse an, wenn wir Sie benachrichtigen sollen, sobald der Artikel wieder lieferbar ist.
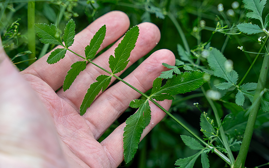
Ein fast vergessenes Würzkraut. Hier sind es hauptsächlich die aromatischen Samen, die genutzt... mehr
Gewürzdolde (Saatgut)
Muskatwürze aus dem Garten
Ein fast vergessenes Würzkraut. Hier sind es hauptsächlich die aromatischen Samen, die genutzt werden. Im Herbst geerntet geben sie - besonders in einer Pfeffermühle fein gemahlen - ein delikates, leicht pfeffriges Muskataroma ab. Einfach lecker!
Auch die Blätter sind essbar, aber nicht so ausdrucksstark im Geschmack wie die Samen. Im 17ten Jahrhundert wurde diese ausdauernde Staude auch medizinisch genutzt, vor allem in Frankreich und England
Es ist ein anspruchsloses Gewächs, das leicht keimt und im Sommer kaum Pflege benötigt. Nach der Blüte reifen die Samen in großer Zahl. Die Ernte lohnt sich. Ein Doldenblütler, heimisch in Süd- und Mitteleuropa.
Synonyme / Suchworte:
Würzsilie, Muskatwürze, Muskatkraut, Steinpetersilie, Steineppich
Überwinterung: | Frosthart |
Produkteigenschaften
- Haltbarkeit:frostfest, ausdauernd
- Höhe / Platzbedarf:80/20
- Wasser:
- Licht:
Bewertungen lesen, schreiben und diskutieren... mehr
Bewertungen für "Gewürzdolde (Saatgut)"
Bewertung schreiben
Bewertungen werden nach Überprüfung freigeschaltet.
Ihre Frage zum diesem Artikel
Lepidium campestre
Heimisches Kraut mit viel Geschmack
Artikel-Nr.:
LEP03X
zur Zeit nicht lieferbar
1,70 €
*

Peucedanum japonicum
Okinawas Geheimnis?
Artikel-Nr.:
PEU04X
zur Zeit nicht lieferbar
5,10 €
*

Aster scaber (Doellingeria scabra)
Essbare Gemüseaster
Artikel-Nr.:
AST34X
zur Zeit nicht lieferbar
5,10 €
*

Plantago subnuda
Auch für den Strandkräutergarten
Artikel-Nr.:
PLA12X
zur Zeit nicht lieferbar
2,55 €
*
Apium graveolens ssp. graveolens
Einheimische Würzpflanze
Artikel-Nr.:
API09X
zur Zeit nicht lieferbar
2,55 €
*
Angelica sylvestris 'Vicar's Mead'
Waldengelwurz in ihrer schönsten Form
Artikel-Nr.:
ANG03X
zur Zeit nicht lieferbar
3,40 €
*